据外媒报道,历史上充斥着关于压力和灰白头发之间关系的趣闻证据,从Marie Antionette被捕后一夜之间的转变到美国总统在任期间吃的盐比胡椒多。一项新的研究为这一联系提供了史无前例的科学证据,它在人类头发中发现了似乎推动这一过程的蛋白质,同时还展示了这一过程可能是如何逆转的。

这项研究是由哥伦比亚大学的科学家们进行的,他们的目标是他们认为目前为止这类研究中存在的差距。长期以来,心理压力一直被认为是导致头发变白的原因,但科学家们很难将这些点联系起来,因为将头发色素沉着跟个体压力的时间联系起来是一项棘手的工作。

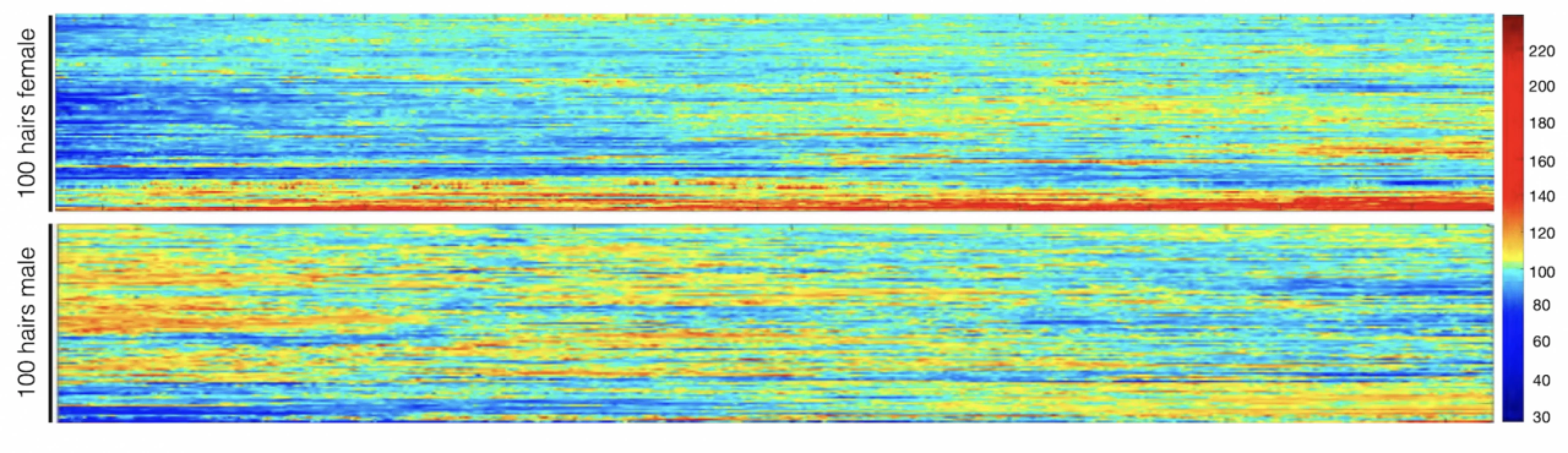
为了解决这个问题,科学家们招募了14名保持“压力日记”的志愿者,在日记中,他们会回顾自己的日历并根据压力水平对每周进行评级。这些受试者随后向科学家提供了头发样本,科学家将这些样本分成小片进行分析以绘制出头发变白的程度。每一片约二十分之一毫米宽,代表约一小时的头发生长并提供了变白过程的可量化的物理时间刻度。

该研究的论文第一作者Ayelet Rosenberg说道:“如果你用眼睛看一根头发,它看起来似乎始终是同一种颜色,除非有一个重大的转变。在高分辨率扫描仪下,你可以看到微小的颜色变化,这就是我们所测量的。”

压力研究表明头发变白是可逆的

将这些变化跟压力日记进行比较可以得到一些有趣的启示。研究不仅发现压力和头发变白之间存在“惊人的联系”,并且在某些情况下,随着个人压力的减轻,头发变白的趋势也出现逆转。据研究人员称,白发恢复到自然颜色是从未有过定量记录的。

为了进一步挖掘细节,研究小组测量了头发长度中数千种不同蛋白质的水平并在头发变白时确定了其中300种蛋白质的变化。通过一个数学模型,该团队将这些改变跟压力导致的线粒体变化联系起来。

“我们经常听说线粒体是细胞的动力来源,但这不是它们发挥的唯一作用,”Picard说道,“线粒体实际上就像细胞内的小触角,会对多种不同的信号做出反应,包括心理压力。”

线粒体在将压力和头发颜色联系起来方面所起的作用使这项研究有别于其他研究该现象的研究。如哈佛大学研究人员于2020年发表的一篇引人注目的论文在老鼠身上证明,急性应激会导致毛囊中色素生成干细胞的永久缺失。

“我们的数据显示,人的头发变白是可逆的,这意味着一种不同的机制,”这项新研究的炉温合著者Ralf Paus说道,“老鼠有着非常不同的毛囊生物学,这可能是在老鼠身上的发现不能很好地应用于人类的一个例子。”